Gas station under construction on NC-150 in Chronicle
By Sam Kirk
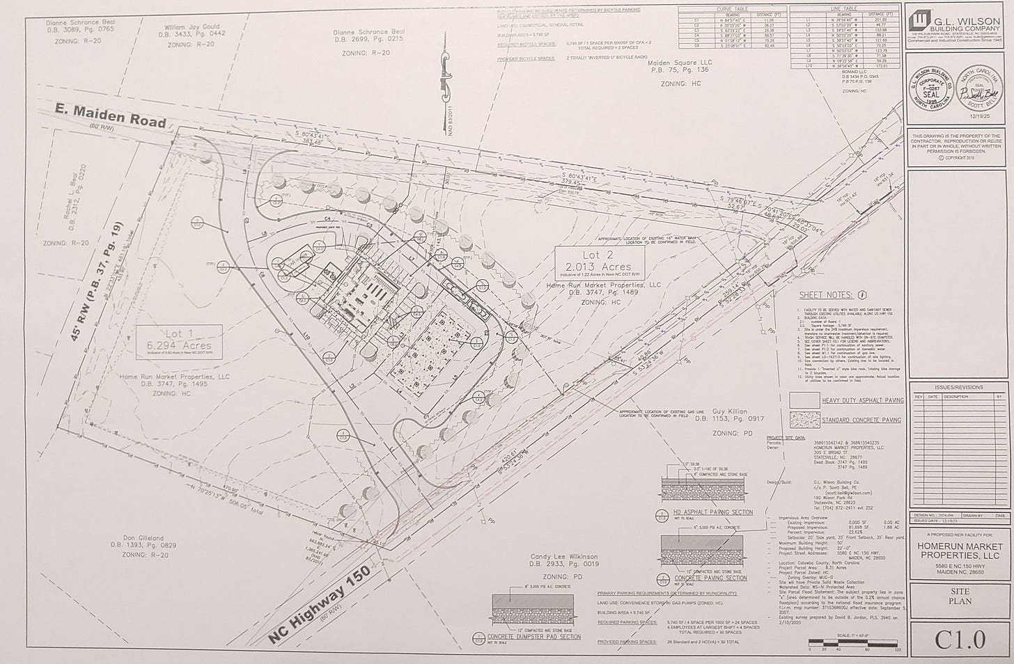
A new gas station is under construction at the intersection of NC-150 and E Maiden Road in Chronicle.
The 7.24-acre tract of property was purchased in 2022 for approximately $1.2 million by Home Run Markets, a chain of gas stations and convenience stores based in Statesville.
Initial permits were approved in January with a proposed project start date of February 2nd, though delays are expected due to the snow and icy conditions in late January and early February.
Site plans call for a 5,740 square foot convenience store with thirty parking spaces, between four and eight gas pumps, a free-standing car wash, and two bicycle spaces.
The gas station will have two entrances, one on NC-150 and one on E Maiden Road.
The initial site plan submitted to Catawba County does not include a realignment of E Maiden Road or the creation of a new road through the property. The plan is subject to change during construction.
According to a representative of the NC Department of Transportation (NCDOT), a realignment of the intersection has not been ruled out.
“NCDOT requires any commercial development to apply for a driveway permit,” the representative said. “Larger developments such as a gas station also requires a traffic study to see what impacts need to be mitigated with offsite improvements. NCDOT just received this traffic study for review last week, and has yet to officially approve it. Any required improvements such as a realignment or turn lanes would come as conditions of the driveway permit, and would be constructed by the developer before the store could open.”
Public water and sewer utilities are available at the property through Catawba County.
According to Home Run Market’s website, the company owns “17 [gas station] locations throughout the Piedmont.”
“Home Run Markets isn’t just the name on the building,” a statement reads on the company’s website. “We live, work and play in the communities we serve. As a local company employing local people, we see many of you every day, we know many of you personally, our children attend the same schools as your children, we volunteer alongside you, and we give back to our community.”
The Chronicle Chronicle reported in September that permits to build a gas station at the corner of NC-16 Bypass and NC-150 were approved.
The gas station approved at NC-16/NC-150 is in no way related to the gas station approved at E Maiden Road and NC-150.
According to a representative of Lincoln County’s permit center, no further activity on the NC-16/NC-150 gas station has occurred since initial approvals were obtained.
“We don’t have anything except for the zoning approvals,” the representative said. “There is an entitled gas station, [but nothing in process].”
The location was sold in November but, the Lincoln County permit officer says, appears to have been sold “as an investment” and not for building.
The gas station most recently operational near the NC-16/NC-150 interchange closed prior to 2008.



